Ons kantoor is lid van Baerz & Co luxury homes; een Nederlands platform dat exclusieve woningmakelaars met elkaar verbindt. Voor meer informatie over ons landelijke aanbod en dienstverlening kunt u contact opnemen met ons secretariaat.

BERGEN OP ZOOM
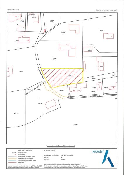
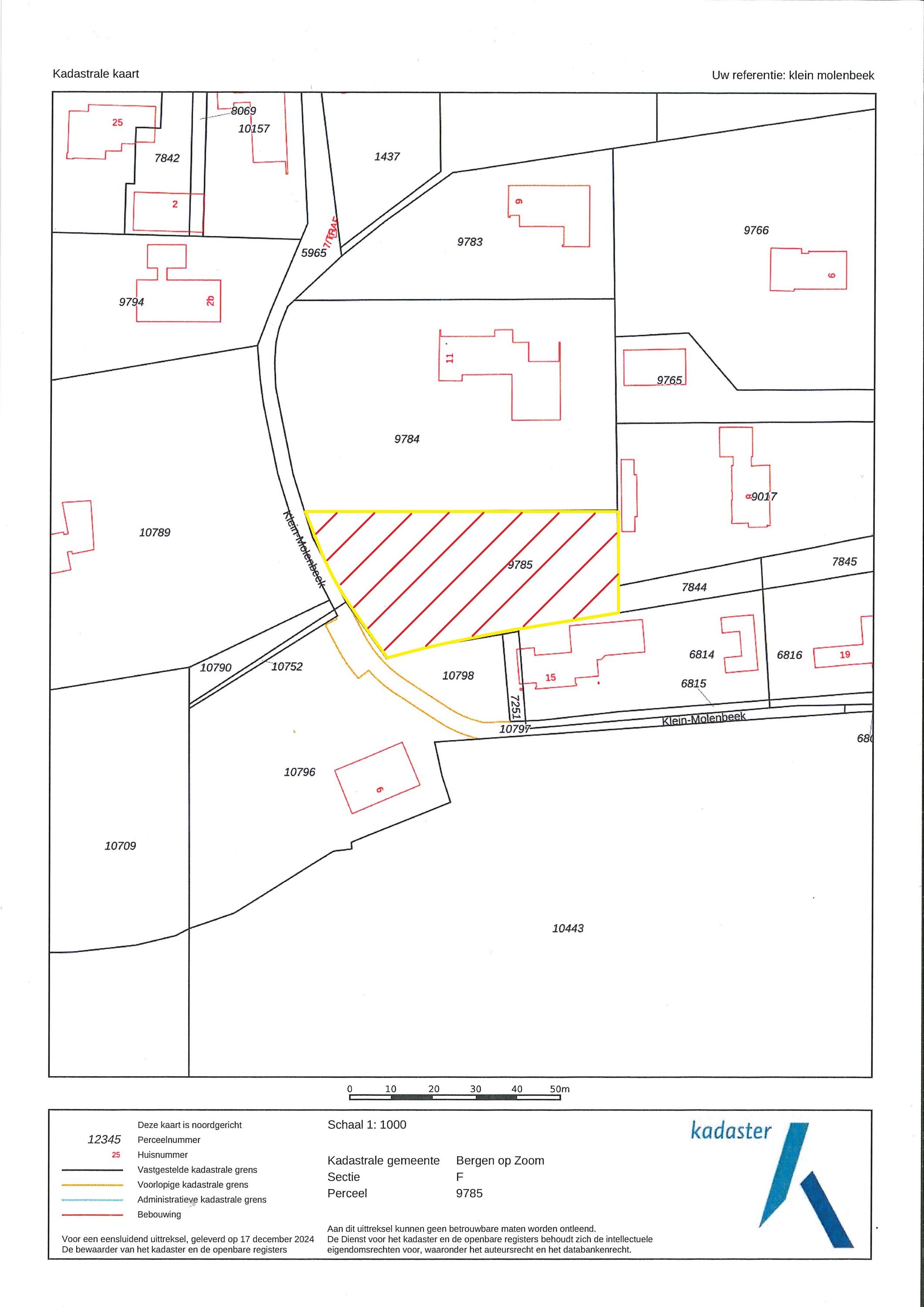
Klein-molenbeek 13 0 ong - 4625 AZ
Netherlands

Tristan Helmig profile image
Tristan Helmig
Makelaar / Taxateur
€599,000 k.k.
Living Area
N/A
Plot Size
1990m2
Bedrooms
N/A

Description

Al enige tijd op zoek naar de perfecte locatie in Bergen op Zoom om uw eigen ideale woning te (laten) bouwen?
In dat geval hebben wij nu DE locatie beschikbaar!

Wij bieden u aan op een toplocatie aan de rand van Bergen op Zoom (Brabantse Wal), een bouwkavel van 1.990 m² met een bouwvlak van ca. 300 m², voor het realiseren van een vrijstaande woning.

Deze kavel is ruim van opzet, is bouwrijp en dus klaar om bebouwd te worden en tevens gelegen op een ideale locatie:
Ruim en royaal wonen kan hier in alle rust en privacy met de mogelijkheid om de reuring op te zoeken in een mum van tijd, want het centrum van Bergen op Zoom bevindt zich op vijf autominuten en tevens is het snelwegtracé A58/A4 richting Antwerpen of Rotterdam/Roosendaal/Breda binnen handbereik.

Deze kavel heeft als toekomstig adres: Klein-Molenbeek 13 en maakt deel uit van het bestemmingsplan 'Klein-Molenbeek 4 en 9'.

nb: de eerste vijf toegevoegde impressies zijn een ontwerp van: ENA Architecten te Bergen op Zoom. De overige impressies zijn referenties uit het Landschappelijk Inpassingsplan, vraag deze gerust op bij ons kantoor!

De bestemming is 'Wonen':

Artikel 4 Wonen
4.1 Bestemmingsomschrijving
De voor 'Wonen' aangewezen gronden zijn bestemd voor:
a. wonen in een woning;
b. beroepsmatige en/of bedrijfsmatige activiteiten in een woning;
c. bij deze bestemming behorende voorzieningen zoals paden, tuinen, parkeervoorzieningen, waterhuishoudkundige voorzieningen, speelvoorzieningen en erven met de daarbij behorende bouwwerken.

4.2 Bouwregels
Op de in lid 4.1 bedoelde gronden mogen uitsluitend bouwwerken ten dienste van de in dat lid bedoelde bestemmingen worden gebouwd, met dien verstande dat:
a. de hoofdgebouwen uitsluitend mogen worden opgericht binnen het bouwvlak;
b. als hoofdgebouwen binnen de bestemming uitsluitend mogen worden gebouwd:
1. ter plaatse van de aanduiding 'vrijstaand': per bouwvlak 1 vrijstaande woning;
c. de goothoogte en/of bouwhoogte van de hoofdgebouwen niet meer mag bedragen dan 'maximum goothoogte (m) 4, maximum bouwhoogte (m) 10';
d. ter plaatse van de aanduiding 'maximum aantal woningen' het aangeduide aantal woningen niet mag
worden overschreden;
e. afstand van het hoofdgebouw tot de voorerfgrens minimaal 4 meter;
f. afstand van het hoofdgebouw tot de zijdelingse perceelgrens minimaal 3 meter;
g. hoofdgebouwen mogen worden afgedekt met een kap, waarbij de dakhelling minimaal 45° en ten hoogste 60° mag bedragen;
h. er mag maximaal 50% van het perceel worden bebouwd;
i. ter plaatse van de aanduiding 'erf' mogen bijbehorende bouwwerken worden gebouwd waarbij:
1.bijgebouwen minimaal 10 meter achter de voorste perceelgrens
2.de gezamenlijke oppervlakte aan bijbehorende bouwwerken per woning niet meer dan 50% van de als 'erf' aangeduide gronden mag bedragen, tot een gezamenlijke oppervlakte van 75 m²;
3.de goothoogte van een aangebouwd bijbehorend bouwwerk ten hoogste gelijk mag zijn aan de hoogte van de eerste bouwlaag van het hoofdgebouw plus 30 cm, tot een maximum van 4 meter;
4.de goothoogte van een vrijstaand bijbehorend bouwwerk niet meer mag bedragen dan 3 meter;
5.de bouwhoogte van bijbehorende bouwwerken niet meer mag bedragen dan 5 meter;
6.voor zover een bijbehorend bouwwerken worden afgedekt met een kap, de dakhelling ten hoogste 45º mag bedragen.
j. voor het bouwen van andere bouwwerken geldt dat:
1. de bouwhoogte van erfafscheidingen en overige andere bouwwerken voor de voorgevel van het hoofdgebouw niet meer mag bedragen dan 1 meter;
2. de bouwhoogte van erfafscheidingen elders niet meer mag bedragen dan 2 meter;
3. de bouwhoogte van overige andere bouwwerken elders niet meer mag bedragen dan 3 meter.

...........

4.5 Afwijken van de bouwregels
4.5.1 Verhogen maximale goothoogte hoofdgebouw
Het bevoegd gezag kan bij omgevingsvergunning afwijken van het bepaalde in lid 4.2 onder c voor het verhogen van de goothoogte met inachtneming van de volgende voorwaarden:
a. de goothoogte mag ten hoogste gelijk zijn aan de aangegeven bouwhoogte;
b. er bestaan geen bouwkundige bezwaren tegen de verhoging;
c. de verhoging leidt niet tot onevenredige belemmeringen voor omliggende percelen.
4.5.2 Aanpassen begrenzing bouwvlak
Het bevoegd gezag kan bij omgevingsvergunning afwijken van het bepaalde in lid 4.2onder a voor het aanpassen van de begrenzing van het bouwvlak met inachtneming van de volgende voorwaarden:
a. bouwgrenzen mogen met ten hoogste 2 meter worden overschreden;
b. de aanpassing mag niet tot gevolg hebben dat een bestemmingsgrens wordt overschreden;
c. de aanpassing leidt niet tot onevenredige belemmeringen voor de omliggende percelen;
d. er bestaan geen stedenbouwkundig bezwaren tegen de aanpassing.
4.5.3 Afwijken afstand tot voorperceelsgrens bijbehorende bouwwerken
Het bevoegd gezag kan bij omgevingsvergunning afwijken van het bepaalde in lid 6.2 onder f, sub 2 voor het bouwen van bijbehorende bouwwerken tot op de voorperceelsgrens onder de volgende voorwaarden:
a. er onstaan geen onevenredige belemmeringen voor omliggende percelen;
b. er mag geen afbreuk worden gedaan aan het stedenbouwkundig beeld en de ruimtelijke kwaliteit ter plaatse;
c. de parkeerbalans in de directe omgeving mag niet onevenredig worden beïnvloed.

..............

Op de website van de gemeente Bergen op Zoom staat een handig stappenplan, bekijk deze goed:
www.bergenopzoom.nl/initiatievenloket

Een volledige omschrijving van het bestemmingsplan én het inrichtingsplan is natuurlijk op te vragen via ons kantoor!

Features

Transfer of ownership
Asking Price
€ 599.000 k.k.
Status
verkocht onder voorbehoud
Acceptance
in overleg
Construction
Kind of house
Bouwgrond
Rooms
N/A
Surface Areas And Volume
Plot Size
1990 m2
Facilities
Aan bosrand
Aan rustige weg
Vrij uitzicht
In bosrijke omgeving
Baerz & Co Property Brochure

Brochure

Videos

Floor Plans

Helmig Makelaardij en Taxatieburo o.z. B.V.

Dorpsstraat 107
4661 HN Halsteren

info@helmigmakelaardij.nl
+31 164-685925

www.helmigmakelaardij.nl

Information / Viewing request

Tristan Helmig profile image
Tristan Helmig
Makelaar / Taxateur